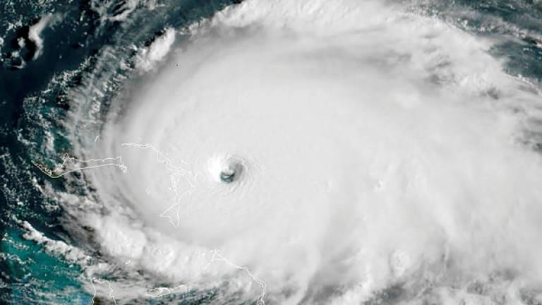
Philippines sơ tán gần 1.800 người để ứng phó với bão Molave (bão số 9)

Philippines đã sơ tán gần 1.800 người và ngừng việc đi lại trên biển, trong bối cảnh bão Molave (bão số 9) dự kiến mang theo mưa lớn sẽ đổ vào hai khu vực ở phía Nam đảo Luzon của nước này trong ngày 25/10.
Philippines sơ tán gần 1.800 người để ứng phó với bão Molave. Ảnh: thesundaily.my
Philippines sơ tán gần 1.800 người để ứng phó với bão Molave. Ảnh: thesundaily.my

Cơ quan khí tượng quốc gia cho biết chính quyền đã ban hành cảnh báo bão đối với các tỉnh thuộc khu vực Bicol and Calabarzon, miền Nam đảo Luzon. Do gió mạnh, việc đi lại trên biển đã phải tạm ngừng ở khu vực Calabarzon, khiến 662 người bị mắc kẹt tại các cảng biển.

Tại các tỉnh thuộc vùng Bicol, tổng cộng 532 gia đình, với gần 1.800 người, đã phải sơ tán tới các nơi trú ẩn tạm thời.

Bão Molave hình thành sau cơn bão Saude, vốn gây ra lũ lụt trên diện rộng ở tỉnh Quezon thuộc vùng Calabarzon, phía Đông Nam thủ đô Manila vào tuần trước. Sau khi vượt qua Philippines, dự báo, bão Molave sẽ tiếp tục mạnh lên trên Biển Đông.

Theo Trung tâm Dự báo Khí tượng Thủy văn Quốc gia Việt Nam, sáng sớm 25/10, áp thấp nhiệt đới trên khu vực phía Đông miền Trung Philippines đã mạnh lên thành bão số 9, có tên quốc tế là bão Molave.

Theo Báo Tin tức
Đại tướng Phan Văn Giang, Ủy viên Bộ Chính trị, Phó Bí thư Quân ủy Trung ương, Bộ trưởng Bộ Quốc phòng tham gia bỏ phiếu. Ảnh: Trọng Đức
Lãnh đạo Đảng, Nhà nước, MTTQ Việt Nam bỏ phiếu tại các điểm bầu cử ở Hà Nội
(Ngày Nay) - Sáng 15/3, cùng với cử tri trên cả nước, các đồng chí Ủy viên Bộ Chính trị, Bí thư Trung ương Đảng, lãnh đạo Đảng, Nhà nước, Mặt trận Tổ quốc (MTTQ) Việt Nam đã bỏ phiếu bầu đại biểu Quốc hội khóa XVI và đại biểu Hội đồng nhân dân (HĐND) nhiệm kỳ 2026-2031 tại Hà Nội.
Người dân vùng biên giới thôn Thanh Sơn, xã Thanh Thủy (Tuyên Quang) hân hoan bỏ phiếu bầu cử đại biểu Quốc hội và đại biểu Hội đồng nhân dân các cấp nhiệm kỳ 2026-2031. Ảnh: Đức Thọ/TTXVN
Ngày hội non sông lan tỏa khắp vùng biên
(Ngày Nay) - Sáng 15/3, hòa chung không khí Ngày hội non sông, đông đảo cử tri tỉnh Tuyên Quang nô nức cầm lá phiếu trên tay đến các khu vực bỏ phiếu bầu đại biểu Quốc hội khóa XVI và đại biểu HĐND các cấp nhiệm kỳ 2026 - 2031, thực hiện quyền và nghĩa vụ công dân, lựa chọn những đại biểu có đức, có tài phụng sự Tổ quốc và nhân dân.
Phó Chủ tịch nước Võ Thị Ánh Xuân bỏ phiếu bầu cử tại khu vực bỏ phiếu số 39, phường Long Xuyên, An Giang.
Phó Chủ tịch nước Võ Thị Ánh Xuân bỏ phiếu bầu cử tại phường Long Xuyên, An Giang
(Ngày Nay) - Sáng 15/3/2026, đồng chí Võ Thị Ánh Xuân, Bí thư Trung ương Đảng, Phó Chủ tịch nước, Phó Chủ tịch Hội đồng Bầu cử Quốc gia đã tiến hành bỏ phiếu bầu cử đại biểu Quốc hội khóa XVI và Hội đồng nhân dân các cấp nhiệm kỳ 2026 - 2031 tại điểm bầu cử số 39, khóm Đông An 2, phường Long Xuyên, An Giang.
Bầu cử Quốc hội và HĐND: Trụ cột thúc đẩy phát triển và hội nhập quốc tế
Bầu cử Quốc hội và HĐND: Trụ cột thúc đẩy phát triển và hội nhập quốc tế
(Ngày Nay) - Ngay trước thềm Ngày hội bầu cử đại biểu Quốc hội khóa XVI và đại biểu Hội đồng nhân dân (HĐND) các cấp nhiệm kỳ 2026-2031, ông Dammika Patabendi, Bộ trưởng Môi trường Sri Lanka đồng thời là Chủ tịch Hội Nghị sĩ Hữu nghị Sri Lanka-Việt Nam đã chia sẻ về những thành tựu phát triển của Việt Nam trong nhiệm kỳ vừa qua cũng như ý nghĩa của cuộc bầu cử sắp tới.
Thủ tướng Phạm Minh Chính chủ trì cuộc làm việc của Thường trực Chính phủ với lãnh đạo thành phố Hà Nội về Quy hoạch tổng thể Thủ đô Hà Nội tầm nhìn 100 năm. Ảnh: Dương Giang
Thủ tướng: Quy hoạch Thủ đô Hà Nội tầm nhìn 100 năm phải lấy con người làm trung tâm
(Ngày Nay) - Chiều 14/3, tại Trụ sở Chính phủ, thực hiện chỉ đạo của Bộ Chính trị, Ban Bí thư, Thủ tướng Phạm Minh Chính chủ trì cuộc làm việc của Thường trực Chính phủ với lãnh đạo thành phố Hà Nội, tiếp tục cho ý kiến, góp ý về Quy hoạch tổng thể Thủ đô Hà Nội tầm nhìn 100 năm.
Học giả Trung Quốc: Hoạt động của Quốc hội Việt Nam cởi mở, minh bạch và hiệu quả
Học giả Trung Quốc: Hoạt động của Quốc hội Việt Nam cởi mở, minh bạch và hiệu quả
(Ngày Nay) - Cuộc bầu cử đại biểu Quốc hội khóa XVI và Hội đồng nhân dân (HĐND) các cấp nhiệm kỳ 2026-2031, được tổ chức trong bối cảnh Đại hội đại biểu toàn quốc lần thứ XIV (Đại hội XIV) của Đảng Cộng sản Việt Nam vừa diễn ra thành công tốt đẹp, nhằm thực hiện các mục tiêu phát triển trong tương lai do Đại hội XIV đề ra. Điều này bao gồm việc lồng ghép các mục tiêu đó vào các kế hoạch 5 năm và cả các chương trình phát triển kinh tế - xã hội dài hạn.