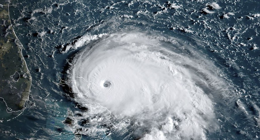
Bang Florida hủy 1500 chuyến bay do bão Dorian

(Ngày Nay) - Khoảng 1.500 chuyến bay tại bang Florida của Mỹ đã bị hủy vào hôm thứ Ba do "siêu bão" Dorian.
Bang Florida hủy 1500 chuyến bay do bão Dorian

Ước tính có khoảng 1.500 chuyến bay khởi và xuất hành từ Florida đã bị hủy bỏ để đảm bảo an toàn cho hành khách do cơn bão Dorian, dữ liệu trên trang FlightAware.com tiết lộ.

Việc hủy bỏ đã ảnh hưởng đến hoạt động tại các sân bay ở các thành phố Miami, Orlando, Fort Lauderdale và Palm Beach.

Vào Chủ nhật tuần qua, bão Dorian - được xếp vào Cấp 5 (cấp cao nhất trong thang đo bão Saffir-Simpson), đã càn quét qua quần đảo Bahamas, cách không xa đất liền bang Florida của Mỹ.

Cơn bão đã trút những trận mưa lớn và gió giật lên tới hơn 297 km/h trên khắp đảo quốc ở Đại Tây Dương vào ngày thứ Hai, khiến hàng chục nghìn công trình xây dựng bị hư hỏng và ít nhất 5 người thiệt mạng.

Bão Dorian sau đó đã suy yếu xuống còn Cấp 3 (178-209 km/h) và hiện vẫn đứng yên ngoài khơi đảo Grand Bahama.

Theo Sputnik
OPEC+ tiếp tục nới hạn ngạch khai thác dầu mỏ thêm 206.000 thùng/ngày
OPEC+ tiếp tục nới hạn ngạch khai thác dầu mỏ thêm 206.000 thùng/ngày
(Ngày Nay) - Tổ chức Các nước xuất khẩu dầu mỏ (OPEC) và các đồng minh - còn gọi là OPEC+ - ngày 5/4 đã nhất trí tăng hạn ngạch khai thác dầu mỏ thêm 206.000 thùng/ngày từ tháng 5 tới. Đây là mức tăng khiêm tốn và chủ yếu chỉ mang tính biểu tượng, do các thành viên chủ chốt trong liên minh không thể tăng sản lượng thực tế bởi cuộc chiến giữa Mỹ và Israel với Iran.
EU triển khai đầy đủ hệ thống kiểm soát xuất nhập cảnh mới từ ngày 10/4
EU triển khai đầy đủ hệ thống kiểm soát xuất nhập cảnh mới từ ngày 10/4
(Ngày Nay) - Từ ngày 10/4/2026, Liên minh châu Âu (EU) sẽ triển khai đầy đủ hệ thống kiểm soát xuất nhập cảnh mới mang tên EES (Entry/Exit System), đánh dấu bước chuyển quan trọng trong hoạt động quản lý biên giới khu vực Schengen. Việc áp dụng kiểm tra 100% đối với hành khách ngoài EU được dự báo sẽ gây ra tình trạng ùn tắc tại các sân bay, nhà ga quốc tế và cảng biển ngay trong những ngày đầu triển khai.
Loạt phim Việt làm nên “kỷ lục doanh thu lịch sử” trong Quý 1/2026
Vì sao phim Việt đầu năm đại thắng ngàn tỷ đồng?
(Ngày Nay) - Các phim Việt Nam ra rạp kể từ đầu năm 2026 đến hết tháng 3/2026 gặt thành công lớn khi lập kỷ lục doanh thu phòng vé lên tới 1.130 tỷ đồng , vượt qua con số 1.110 tỷ đồng cùng kỳ năm ngoái . Điều này cho thấy khán giả đang rất ủng hộ và thích xem phim Việt.
Tổng vốn đầu tư toàn xã hội tăng gần 11% vào Quý I
Tổng vốn đầu tư toàn xã hội tăng gần 11% vào Quý I
(Ngày Nay) - Cục Thống kê, Bộ Tài chính vừa công bố, hoạt động đầu tư trong quý I/2026 tiếp tục duy trì đà tăng trưởng tích cực, với quy mô vốn toàn xã hội mở rộng và dòng vốn đầu tư nước ngoài gia tăng rõ rệt.
Bộ trưởng, Chủ nhiệm Văn phòng Chính phủ Trần Văn Sơn chủ trì họp báo Chính phủ thường kỳ.
Nỗ lực bảo đảm nguồn cung xăng dầu, cung ứng đủ điện
(Ngày Nay) - Chiều 4/4, tại Hà Nội, Văn phòng Chính phủ tổ chức họp báo Chính phủ thường kỳ dưới sự chủ trì của Bộ trưởng, Chủ nhiệm Văn phòng Chính phủ Trần Văn Sơn. Tại họp báo, đại diện lãnh đạo một số bộ, ngành trả lời câu hỏi của các phóng viên liên quan những vấn đề nóng đang được dư luận xã hội quan tâm.
Bộ Giáo dục và Đào tạo đã yêu cầu tất cả trường học phải công khai đơn vị cung cấp thức ăn, thực phẩm trên trang thông tin điện tử, phương tiện thông tin đại chúng.
Bộ Giáo dục và Đào tạo yêu cầu các trường học phải công khai đơn vị cung cấp thức ăn, thực phẩm
(Ngày Nay) - Chiều 4/4, tại cuộc họp báo Chính phủ thường kỳ, ông Hoàng Đức Minh, Vụ trưởng Vụ Học sinh sinh viên (Bộ Giáo dục và Đào tạo) cho biết Bộ Giáo dục và Đào tạo đã yêu cầu tất cả trường học phải công khai đơn vị cung cấp thức ăn, thực phẩm trên trang thông tin điện tử, phương tiện thông tin đại chúng.