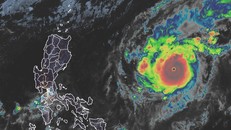
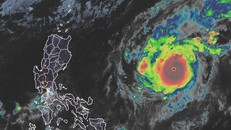
(Ngày Nay) - Cơ quan Dịch vụ Khí tượng, Địa vật lý và Thiên văn Philippines cho biết, tối 9/11, siêu bão Fung-wong đã đổ bộ vào khu vực bờ biển phía Đông Philippines, sau khi đã khiến ít nhất 2 người thiệt mạng và buộc hơn 1 triệu người phải sơ tán.
(Ngày Nay) - Cơ quan Dịch vụ Khí tượng, Địa vật lý và Thiên văn Philippines cho biết bão Fung-wong đang di chuyển về phía Tây với sức gió duy trì gần tâm bão là 185 km/h, giật tới 230 km/h.
(Ngày Nay) - Theo thông tin cập nhật, đến chiều tối 23/9 đã có hơn 1,04 triệu người tại tỉnh Quảng Đông, miền Nam Trung Quốc, được sơ tán đến các điểm tránh trú an toàn để đề phòng ảnh hưởng của siêu bão Ragasa, dự kiến sẽ đổ bộ dọc khu vực ven biển các tỉnh miền Tây hoặc miền Trung Trung Quốc trong ngày 24/9.
(Ngày Nay) - Các cơ quan khí tượng trên thế giới đánh giá, tính đến thời điểm hiện tại, bão Ragasa được đánh giá là siêu bão mạnh nhất thế giới năm 2025, vượt cả bão Erin (Bắc Đại Tây Dương), bão Yagi (năm 2024).
(Ngày Nay) - Trước diễn biến phức tạp của siêu bão Ragasa, Bộ Y tế đã có văn bản khẩn gửi Sở Y tế các tỉnh, thành phố khu vực Bắc Bộ, Trung Bộ và các đơn vị trực thuộc, yêu cầu kích hoạt cao nhất các phương án y tế ứng phó.
(Ngày Nay) - Siêu bão Ragasa đang tiến vào Biển Đông với sức gió giật trên cấp 17, dự báo có thể mạnh thêm; cảnh báo nguy cơ mưa lớn, lũ quét, sạt lở đất tại Lai Châu, Điện Biên, Sơn La, Lào Cai và Tuyên Quang.
(Ngày Nay) - Cơ quan khí tượng thủy văn Philippines cho biết sáng 21/9, bão nhiệt đới Ragasa đã mạnh lên thành siêu bão, với tốc độ gió 185 km/h và giật lên tới 230 km/h.
(Ngày Nay) - Siêu bão cấp 5 Milton được dự báo trở nên mạnh hơn trong ngày 8/10, quét qua bán đảo Yucatan của Mexico trước khi tiến vào bang Florida (Mỹ). Trước sức ảnh hưởng của cơ bão dự báo sẽ còn tiếp tục mạnh lên, hơn một triệu người dân bang Florida đã được yêu cầu di tản khẩn cấp.
(Ngày Nay) - Chiều 12/9/2024, Tập đoàn Vingroup và các công ty trong hệ sinh thái công bố tài trợ 250 tỷ đồng cho đồng bào đang chịu thiệt hại do siêu bão Yagi và mưa lũ kéo dài.
(Ngày Nay) - Chiều 16/12, siêu bão có tên quốc tế là Rai đã ảnh hưởng trực tiếp đến ven biển phía đông của Philippines; sức gió mạnh nhất vùng gần tâm bão mạnh cấp 16, giật trên cấp 17.
(Ngày Nay) - Cuối tuần qua, bão Ida đã gây mất điện tại thành phố New Orleans và nhiều khu vực khác tại bang Louisiana ngập lụt nghiêm trọng, các nhà chức trách cho biết có ít nhất 1 người thiệt mạng kể từ khi cơn bão này đổ bộ vào vùng Duyên hải Vịnh Mexico.
(Ngày Nay) - Theo Trung tâm Dự báo Khí tượng Thủy văn Quốc gia, lúc 7 giờ ngày 18/4, siêu bão SURIGAE đang ở vào khoảng 13,5 độ Vĩ Bắc; 127,6 độ Kinh Đông, cách bờ biển miền Trung Philippines khoảng 420km về phía Đông. Sức gió mạnh nhất vùng gần tâm siêu bão mạnh cấp 17 (200-220km/giờ), giật trên cấp 17.
(Ngày Nay) - Cơn bão khổng lồ ở gần xích đạo của hành tinh khí đang thu nhỏ, nhưng liên tục hấp thụ năng lượng từ hàng loạt xoáy nghịch nhỏ hơn va chạm với nó.
(Ngày Nay) - Hàng triệu người ở Ấn Độ và Bangladesh đang còn chưa đầy vài giờ để chuẩn bị cho một cơn bão mạnh nhất trong lịch sử vịnh Bengal, mang theo gió và mưa lớn tới khu vực đang oằn mình vì tác động của đại dịch COVID-19.
Các nhà chức trách Nhật Bản vẫn đang cố gắng xử lý mức độ thiệt hại sau cơn bão Hagibis. Ít nhất 74 người được khẳng định đã chết và hơn 10 người còn mất tích.
Siêu bão Hagibis được các nhà khí tượng đánh giá là siêu bão cấp 5. Vậy thang bão nào được sử dụng để đo sức mạnh của cơn bão và thang đo này có giống thang sức gió Beaufort mà Việt Nam đang sử dụng?